Home
Services
Pest Guide
Fungal diseases
Disease Fruit, Leaf, Stem
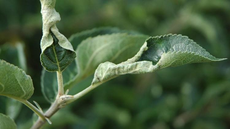
Powdery Mildew of Apple
Powdery Mildew of Apple
[Podosphaera leucotricha]
west
east
Top